Awar-awar (Ficus septica Burm. f.) merupakan perdu atau pohon kecil dari keluarga Ficus yang banyak ditemui tumbuh liar di Indonesia. Awar-awar cukup dikenal sebagai tanaman obat tradisional. Awar-awar memiliki nama daerah yang berbeda-beda, seperti: Kiciyat (Sunda), Awar-awar (Jawa Tengah, Belitung), Barabar (Madura), Sirih popar (Ambon), Bei, Loloyan (Minahasa), Tobotobo (Makasar), Dausalo (Bugis), Bobulutu (Halmahera Utara), Tagalolo (Ternate) dan Kayu Karet. Sementara di negara lain awar-awar dinamai; Papua Nugini : Omia, Manibwohebwahe, Bahuerueru (Papua nugini), Hauili, Kauili , Sio (Philipina).
Tumbuhan ini memiliki ciri khas pada getah dan daunnya yang lebar mengkilap. Berbeda dengan jenis Ficus lainnya yang berupa pohon besar seperti beringin (Ficus benjamina), Awar-awar (Ficus septica) lebih sering ditemukan dalam fase semai atau perdu di lantai hutan serta sepanjang daerah aliran sungai.
Nama septica berasal dari bahasa Yunani yang berarti “septik” atau “busuk”, merujuk pada sifat antibakteri getahnya yang secara tradisional digunakan untuk mengobati infeksi kulit. Ficus septica juga sering disebut juga White-veined Fig (Ara Vena Putih) karena urat daunnya yang berwarna putih mencolok di permukaan atas.
Ficus septica bukan sekadar tanaman obat, tetapi juga memiliki mekanisme biologis yang unik untuk bertahan hidup di lingkungan lembap. Pada malam hari atau pagi buta, daunnya sering mengeluarkan tetesan air melalui kelenjar khusus yang disebut hidatoda (bintik-bintik putih pada daun). Proses ini disebut guttasi, yaitu cara tanaman membuang kelebihan air dan garam terlarut.
Taksonomi
- Kingdom: Plantae
- Divisi: Tracheophyta (tumbuhan berpembuluh)
- Kelas: Magnoliopsida (dikotil)
- Ordo: Rosales
- Famili: Moraceae
- Genus: Ficus
- Subgenus: Sycomorus
- Seksi: Sycocarpus
- Spesies: Ficus septica Burm.f.
Morfologi
- Habitus: Perdu besar hingga pohon kecil yang dapat tumbuh hingga 25 meter di habitat aslinya. Sering ditemukan di pinggir jalan dan lahan atau bangunan terlantar serta lahan dengan tanah buruk.
- Akar berupa sistem perakaran yang umum pada genus Ficus untuk memperkuat struktur pohon.
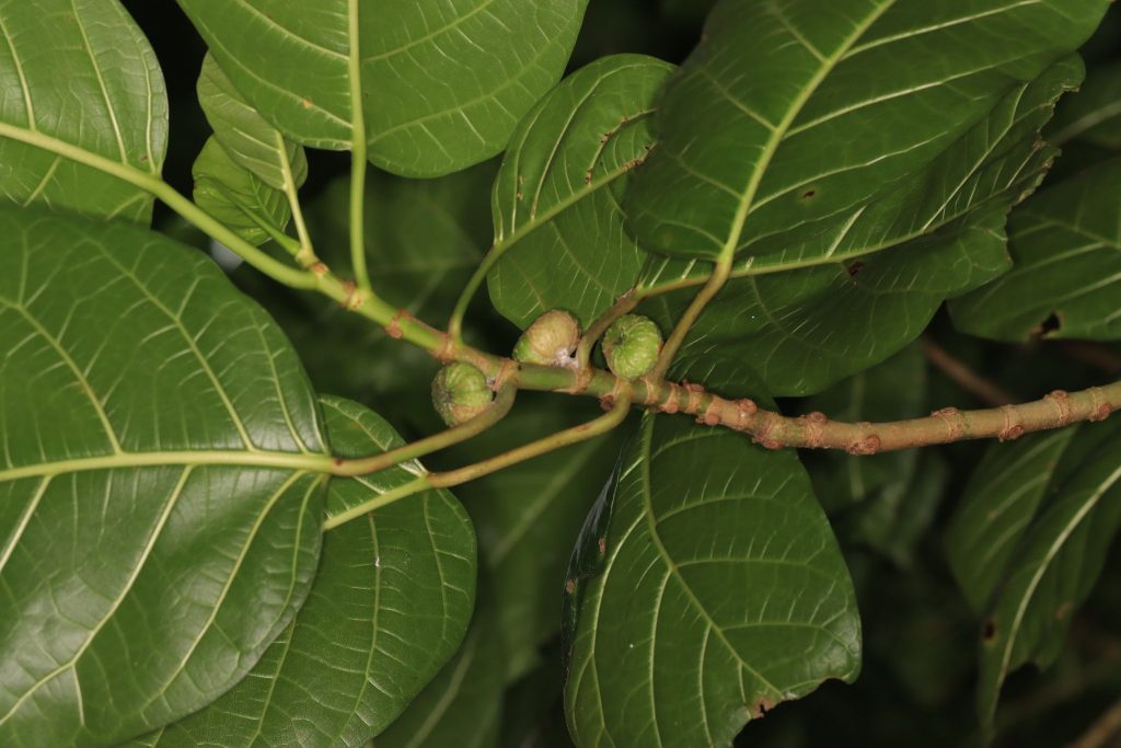
- Daun daun tunggal bertangkai, berukuran besar (hingga 15 x30 cm) yang tersusunan secara spiral (berseling atau berhadapan). Helaian daun berbentuk oval atau bulat telur. Pertulangan daun menyirip, tepi daun rata, warna daun dari atas hijau tua mengkilat dan licin (laevis).. Ujung daun sangat runcing (acutus), pangkal daun membulat (rotundatus). Urat daun putihnya berfungsi seperti “markah jalan” bagi kelelawar di malam hari untuk menemukan buah yang matang.
- Batang & Ranting: Batang berkayu yang mengeluarkan getah jika dilukai. Ranting mudanya berongga dan memiliki kelenjar pada buku-bukunya yang sering menarik perhatian semut hitam.
- Bunga/Buah/Ara: Berbentuk bulat atau agak pipih. Buah (Ara)/Berusuk (ridged) ini muncul dari ketiak daun di sepanjang dahan (ramiflorous). Buah matang secara bertahap satu per satu dari hijau menjadi kuning kehijauan untuk memastikan satwa penyebar seperti musang dan kelelawar kembali setiap malam.
Kandungan Penting
- Daun mengandung senyawa flavonoid genistin dan kaempferitrin, kumarin, senyawa fenolik, pirimidin dan alkaloid antofin, 10S,13aR-antofin N-oxide, dehidrotylophorin, ficuseptin A, tylophorin, 2-Demetoksitylophorin, 14α-Hidroksiisotylopcrebin N-oxide, saponin triterpenoid, sterol .
- Akar mengandung sterol dan polifenol . Alkaloid yang terkandung pada batang antara lain adalah fenantroindolisidin (ficuseptin B, ficuseptin C, ficuseptin D, 10R,13aR-tylophorin N-oxide, 10R,13aR-tylocrebrin N-oxide, 10S,13aR-tylocrebrin N-oxide, 10S,13aR-isotylocrebrin N-oxide, dan 10S,13aS-isotylocrebrin N-oxide.
- Daun dan akar mengandung stigmasterol dan β-sitosterol.
- Daun dan batang mengandung alkaloid isotylocrebin dan tylocrebin.
Manfaat
- Daun: Digunakan untuk mengobati sakit kepala, penyakit kulit, wasir, ginjal, tekanan darah tinggi, maag, bisul, radang usus buntu, gigitan ular berbisa dan sesak napas.
- Untuk obat bisul dipakai ± 5 gram daun segar Ficus septica, ditumbuk sampai lumat, kemudian ditempelkan pada bisul.
- Akar digunakan untuk penawar racun ikan dan penanggulangan asma. Perasan air dari tumbukan akar awar awar dan adas pulowaras dapat digunakan untuk mengobati keracunan ikan, gadung (Dioscorea hispida dennst) dan kepiting. Jika ditumbuk dengan segenggam akar alang-alang dan airnya diperas merupakan obat penyebab muntah yang sangat manjur.
- Seluruh bagian akar memiliki aktivitas melawan bakteri penyebab disentri dan kolera.
- Getah dimanfaatkan untuk mengatasi bengkak-bengkak dan kepala pusing. Buah untuk pencahar.
- Buah (ara): Dapat dimanfaatkan sebagai pencahar dan penambah nafsu makan.
Menyuburkan Rambut
- Embun yang menempel daunnya bisa menyuburkan rambut.
- Caranya ambil embunnya pagi-pagi setelah subuh, oleskan pada kulit kepala.
Gangguan Kulit
- Getahnya untuk beberapa penyakit kulit seperti tatto emping, kadas dan kurap.
- Cara mengobatinya patahkan ranting, oleskan getahnya pada bagian yang akan diobati, biarkan kering.Jangan kena bagian yang tidak sakit, bisa melepuh.
- Saat dikasih getah itu rasanya panas, sebelum memakai sediakan kipas manual, maupun kipas angin elektrik biar tidak kepanasan.
Bisul
- Siapkan ± 5 g daun segar awar-awar.
- Cuci hingga bersih.
- Tumbuk dan tambahkan sedikit air atau minyak dan campur hingga berbentuk seperti pasta.
- Tempelkan pada bisul.
Keracunan makanan
- Siapkan akar awar-awar secukupnya, cuci bersih dan tumbuk hingga halus.
- Tambahkan air sedikit dan ratakan kembali.
- Peras pasta akar hingga mendapatkan air dan ampas secara terpisah.
- Minum air perasannya.
Gambar









